| ID # | 860241 |
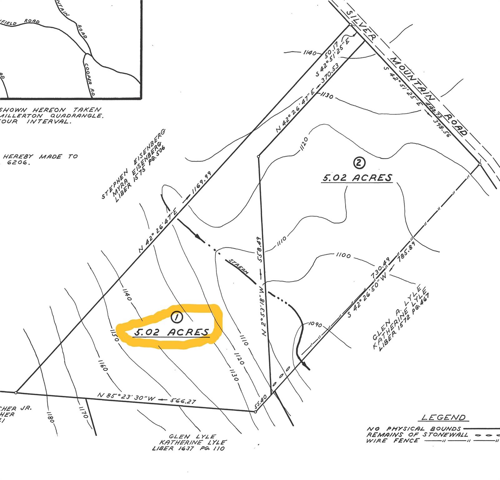
| الوصف | مساحة الأرض: 5.02 فدان |
| الضرائب (سنويًا) | $1,580 |
![]() |
احتضن هدوء الطبيعة. يضمن هذا الموقع الخصوصية، محاطًا بمشاهد واسعة من الأراضي الزراعية. يتعرج مجرى مائي في العقار، وهو موقع ممتاز لملاذ في الغابة، ويعد قاعدة منزلية مثالية لكل ما تقدمه المنطقة الشمالية الشرقية.
Embrace the tranquility of nature. This location ensures privacy, surrounded by expansive farmland vistas. A stream meanders the property, it's an excellent site for a woodland retreat, serving as an ideal home base to all that the Northeast has to offer. © 2025 OneKey™ MLS, LLC







