| ID # | 941921 |
| الوصف | مساحة الأرض: 1.1 فدان عمر الإدراج (DOM): 2 يومًا |
| الضرائب (سنويًا) | $2,502 |
![]() |
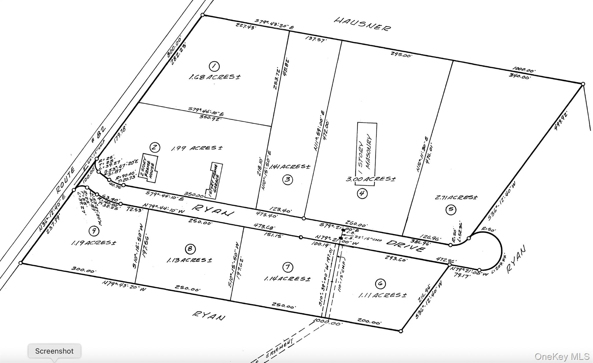
قطعة أرض مساحتها 1.1 فدان مصنفة B-3 في شرق فيشكيل. قد تشمل الاستخدامات المسموح بها (من بين أمور أخرى): مخبز، كنيسة، دار رعاية نهارية، تصنيع أثاث/خزائن، مكتب عام، دار رعاية للكلاب، مكتب طبي/أسنان، خدمات إصلاح المستهلكين، تجارة التجزئة، و"أي استخدام من نفس الطابع العام كاستخدام صناعي خفيف مسموح به في منطقة B-3، بشرط أن تجد اللجنة أن هذا الاستخدام ليس متعارضًا مع التعريف المقبول عمومًا لمصطلح “الصناعة الخفيفة” وحيث، في تقدير اللجنة، سيكون المشروع المعني مفيدًا للمدينة ككل." لا يبدو أن الأرض تحتوي على أي مناطق رطبة مذكورة في الوصول إلى القطعة. ستكون أي تحسينات على نظام الصرف الصحي. يوجد صنبور إطفاء على طول طريق رايان أمام القطعة - لا يزال يتعين تأكيد اتصال المياه البلدية. قطعة أرض جميلة يتمتع بإمكانية وصول مريحة من طريق 82 وطريق تكونيك السريع. تشمل الأعمال المجاورة: FurEver Friends، Hopewell Supply، Infinity Athletics، Euro Fuel Co.، وHopewell Precision.
1.1 acre B-3 zoned parcel in East Fishkill. Permitted uses may include (among others): Bakery, Church, Daycare, Furniture/Cabinet Manufacturing, General Office, Doggy Day-care, Medical/Dental Office, Consumer Repair Services, Retail, and "Any use of the same general character as a light industrial use permitted in the B-3 District, provided that the Board shall find that said use is not inconsistent with the generally accepted definition of the term “light industry” and where, in the estimation of the Board, the enterprise in question will be beneficial to the Town as a whole." The land does not appear to have any wetlands noted on parcel access. Any improvements would be on septic. There's a fire hydrant along Ryan Drive in front of the parcel - Municipal water connection still to be confirmed. Nice parcel would convenient access of of Route 82 and Taconic State Parkway. Neighboring businesses include: FurEver Friends, Hopewell Supply, Infinity Athletics, Euro Fuel Co., and Hopewell Precision, © 2025 OneKey™ MLS, LLC







